
EAU e Egito alimentam guerra civil no Sudão ao apoiar lados opostos
Interferência estrangeira transforma o país em palco de disputa geopolítica, agravando a crise humanitária e dificultando a paz. Em 7 de novembro de 2025, a

Interferência estrangeira transforma o país em palco de disputa geopolítica, agravando a crise humanitária e dificultando a paz. Em 7 de novembro de 2025, a

Aeronave seguia de Louisville para Honolulu quando caiu logo após a decolagem; autoridades confirmam três vítimas e feridos em estado grave Um avião cargueiro da

Golden retriever Scrunchie ajudou na recuperação de Priscilla, que reagiu ao toque do animal após semanas em coma induzido causado por embolia pulmonar Um caso

Conteúdo sintético apresentado como real levanta questionamentos sobre ética jornalística, transparência e uso responsável da inteligência artificial nos meios de comunicação De acordo com jornalista

A deputada mencionou sua falta de entendimento sobre a identidade judaica da influente família. No mais recente episódio do Real Time with Bill Maher, a

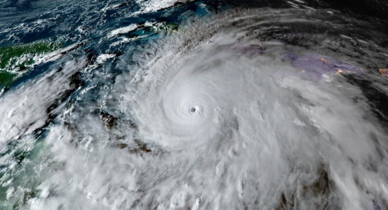
Meteorologistas alertam para ventos de até 200 km/h e chuvas torrenciais que podem atingir cidades da Flórida e da Geórgia O furacão Melissa intensificou-se nas

Empresa tenta equilibrar custos e se adaptar à era da automação A Amazon prepara mais uma onda de demissões em seu quadro global, desta vez

Parceria com NextEra reforça plano da empresa para garantir energia limpa e constante às operações tecnológicas O Google anunciou nesta segunda-feira (27) um plano ambicioso

Brasileiros perdem facilidades da CPLP com o novo projeto anti-imigração O projeto anti-imigração em Portugal entrou em vigor após aprovação do presidente Marcelo Rebelo de

Por: Sidney Araujo Foto Destaque: Divulgação Um caso digno de filme de terror foi descoberto recentemente na Polônia, no Leste da Europa. Uma mulher de